製品・技術
耐火物のコーティング技術(スプレーコート、溶射)
反応性に優れた最適なコーティング技術を提供




溶射

溶射とは、基材の表面が、極めて過酷な環境や条件に耐えうるように設計された表面改質技術です。
種々の熱源により、溶融あるいはそれに近い状態に加熱した溶融材料(金属・セラミックス・サーメットなど)の粉末あるいは線材などの溶融粒子を加速して、基材面に高速で噴きつけ、機能被膜を形成する表面改質技術です。
溶射の特長
- セラミック・樹脂などをコーティングでき、良質な複合被膜をつくります。
- 基材面にダメージを与えず、熱による歪みなどが発生しにくい。
- 皮膜内の気孔の存在により、耐熱衝撃性、含浸性が付与されます。
- 溶射被膜厚が自由にコントロールできます。
- NEWSICなど素材の再溶射が可能で、経費の削減になります。

コート施工方法と材質一覧
| スプレーコート | 生 | ムライト質・アルミナ質・ジルコニア | 食器・タイル・電子部品 |
|---|---|---|---|
| 流し込みコート | 焼付 | 電子部品(MLCC、フェライト等) | |
| 溶射 | 水プラズマ ガスプラズマ | ムライト質・アルミナ質・ジルコニア・イットリア |
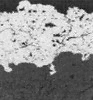
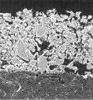
各種コーティング品種と特長
| コート法 | ガスプラズマ溶射 | 水プラズマ溶射 | スプレーコート | 流し込み |
|---|---|---|---|---|
| 断面構造 | ![]() | ![]() | ![]() | ![]() |
| 表面粗さ(μm) | 5 | 15~20 | 2~10 | 10 |
| 見掛気孔率(%) | 3~10 | 5~15 | 30≦ | 35≦ |
| 最大厚さ(μm) | 300 | 1,000 | 2,000 | 3,000 |
| 特長 | 平滑 緻密 | 耐熱衝撃 応力緩和 | 耐反応性 形状対応 | 肉厚施工 匣鉢対応 |
おすすめ製品特集
耐火物製品に関するお問い合わせ
産業プロセス営業部
052-872-7766(名古屋)




